previous | index | next Larger Image | 896x1280 pixels 250.9 KB | Ichneumon 1661.jpg

Common Name:
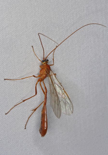
Ichneumon Wasp

Kingdom: Animalia
Phylum: Arthropoda
Subphylum:
Superclass: Hexapoda
Class: Insecta
Subclass: Pterygota
Order: Hymenoptera
Suborder: parasitic Apocrita (no taxon)
Infraorder:
Superfamily: Ichneumonoidea
Family: Ichneumonidae
Subfamily: Ophioninae
Tribe:
Species:
Enicospilus sp.

Hodges No:

Location:
Monhegan Island
Monhegan Island, ME
USA

Date: 8/25/07

Notes:

Enicospilus sp. Ichneumonidae
Ichneumon Wasp
Identifications represent best guesses on my part and are not intended to be authoritative.
Please feel free to drop me an eMail with corrections or comments. They are greatly appreciated.